Planned Power Outage Scheduled for June 19 for Electrical Maintenance
A temporary power outage is scheduled tomorrow, Thursday, June 19 (weather permitting) from 9 a.m. to about 12 p.m.
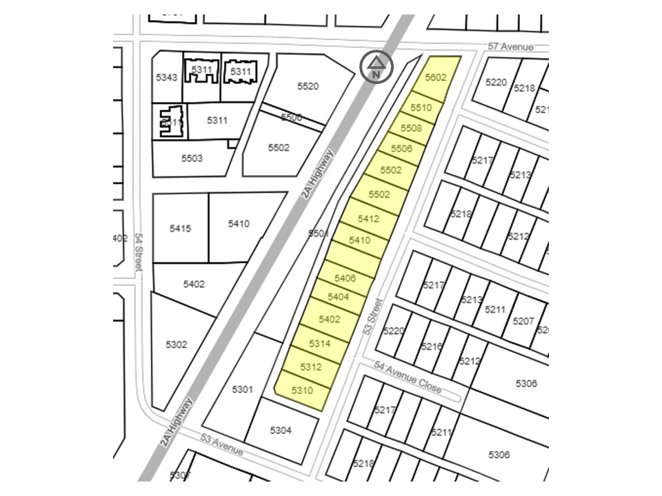
Please click on the map to make it larger.
The planned outage will affect properties along the following streets as crews conduct electrical maintenance (click here to view the map):
- On the west side of 53 Street between 57 Avenue and the back alley located north of 53 Avenue (between 53 Street and Highway 2A).
Affected properties have been notified by hand-delivered notices. Please check your front door or mailbox for a notice if you are in the affected area.
Notification of the power outage has also been sent to properties that are subscribed to the Town of Ponoka App and Notification Service.
If you have questions, please phone 403-783-4431.
To learn more about the Town App and Notification Service and to enroll, please click here.