Planned Power Outage Scheduled for October 16 for Electrical Maintenance
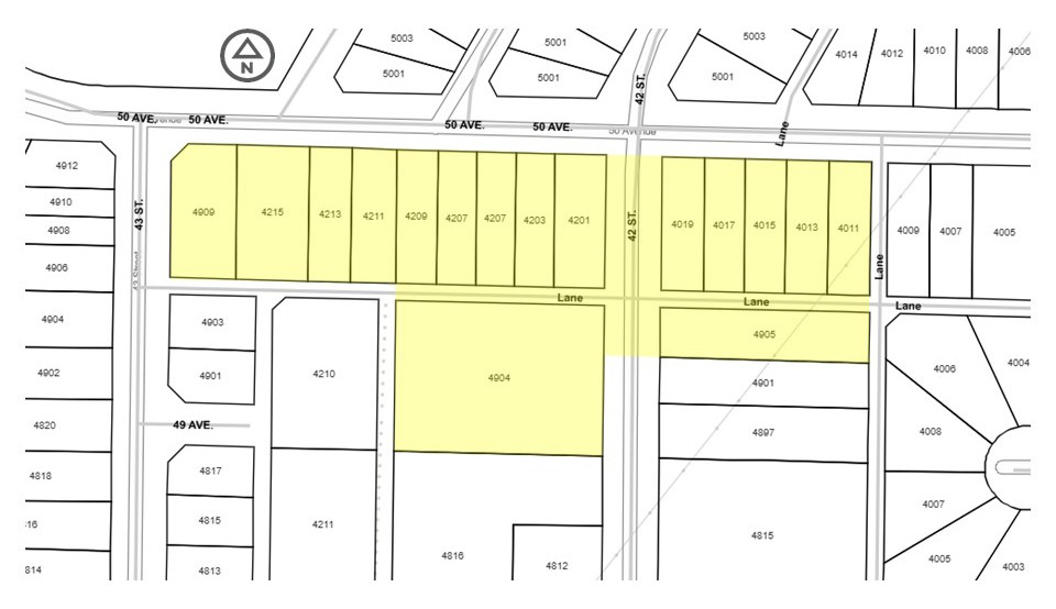
Click on the image to make the map larger. A temporary power outage is scheduled for tomorrow, Thursday, October 16 (weather permitting) from 9 a.m. to about 12 p.m.
The planned outage will affect properties in the Riverside area along the following roadways as crews conduct electrical maintenance (click here to see the map):
- On the south side of 50 Avenue between 43 Street and 42 Street; and
- On the south side of 50 Avenue, east of 42 Street and west of the laneway.
Affected properties have been notified by hand-delivered notices. Please check your front door or mailbox for a notice if you are in the affected area.
Notification of the power outage has also been sent to properties that are subscribed to the Town of Ponoka App and Notification Service.
If you have questions, please phone 403-783-4431.
To learn more about the Town App and Notification Service and to enroll, please click here.